• Latest
  • Trending
  • All
  • Nieuws
  • Bedrijfsfinanciering
  • Politiek
  • Buitenland
  • Lifestyle
  • Eten & Drinken
  • Reizen
  • Gezondheid
  • Entertainment
  • Binnenland
  • Films & series
  • Televisie
Cycloon Melissa bedreigt Haïti en Jamaica

Cycloon Melissa bedreigt Haïti en Jamaica

October 26, 2025
Venezuela traint kustbescherming tegen geheime operaties VS

Venezuela traint kustbescherming tegen geheime operaties VS

October 26, 2025
Voorzitter Palestijnenvereniging jaar lang geen toegang tot Milaan

Voorzitter Palestijnenvereniging jaar lang geen toegang tot Milaan

October 26, 2025
De verboden kaas: Brexit scheurt E.U. en Groot-Brittannië verder uit elkaar.

De verboden kaas: Brexit scheurt E.U. en Groot-Brittannië verder uit elkaar.

October 26, 2025
Justitieminister benadrukt Sky News-rapportage en noemt vrijlating migranten ‘totaal onaanvaardbaar’

Justitieminister benadrukt Sky News-rapportage en noemt vrijlating migranten ‘totaal onaanvaardbaar’

October 26, 2025
Helden van Charkov: redding van 48 kinderen uit Russische drone-aanval

Helden van Charkov: redding van 48 kinderen uit Russische drone-aanval

October 26, 2025
Terugtrekking PKK-Koerden uit Turkije aangekondigd

Terugtrekking PKK-Koerden uit Turkije aangekondigd

October 26, 2025
Woede in Sevilla: Vertraging bij informeren over verdachte mammografieresultaten

Woede in Sevilla: Vertraging bij informeren over verdachte mammografieresultaten

October 26, 2025
Dialoog tussen Moskou en Washington bedreigd door externe krachten

Dialoog tussen Moskou en Washington bedreigd door externe krachten

October 26, 2025
Panathinaikos omarmt overwinning in debuut Benitez

Panathinaikos omarmt overwinning in debuut Benitez

October 26, 2025
Vertraging in medische hulp voor Gaza

Gaza Humanitarian Foundation hervat hulpdistributies

October 26, 2025
Drones neergeschoten op weg naar Moskou

Drones neergeschoten op weg naar Moskou

October 26, 2025
Trump begint Azië-tour in Maleisië

Trump begint Azië-tour in Maleisië

October 26, 2025
  • Over ons
  • Adverteren
  • Privacybeleid
  • Contactgegevens
Sunday, October 26, 2025
  • Login
Bureau49
  • Voorpagina
  • Nieuws
    • All
    • Binnenland
    • Buitenland
    • Economie
    • Politiek
    Venezuela traint kustbescherming tegen geheime operaties VS

    Venezuela traint kustbescherming tegen geheime operaties VS

    Voorzitter Palestijnenvereniging jaar lang geen toegang tot Milaan

    Voorzitter Palestijnenvereniging jaar lang geen toegang tot Milaan

    De verboden kaas: Brexit scheurt E.U. en Groot-Brittannië verder uit elkaar.

    De verboden kaas: Brexit scheurt E.U. en Groot-Brittannië verder uit elkaar.

    Justitieminister benadrukt Sky News-rapportage en noemt vrijlating migranten ‘totaal onaanvaardbaar’

    Justitieminister benadrukt Sky News-rapportage en noemt vrijlating migranten ‘totaal onaanvaardbaar’

    Helden van Charkov: redding van 48 kinderen uit Russische drone-aanval

    Helden van Charkov: redding van 48 kinderen uit Russische drone-aanval

    Terugtrekking PKK-Koerden uit Turkije aangekondigd

    Terugtrekking PKK-Koerden uit Turkije aangekondigd

    Woede in Sevilla: Vertraging bij informeren over verdachte mammografieresultaten

    Woede in Sevilla: Vertraging bij informeren over verdachte mammografieresultaten

    Cycloon Melissa bedreigt Haïti en Jamaica

    Cycloon Melissa bedreigt Haïti en Jamaica

    Dialoog tussen Moskou en Washington bedreigd door externe krachten

    Dialoog tussen Moskou en Washington bedreigd door externe krachten

    Vertraging in medische hulp voor Gaza

    Gaza Humanitarian Foundation hervat hulpdistributies

    Trending Tags

    • Donald Trump
    • Future of News
    • Climate Change
    • Market Stories
    • Election Results
    • Flat Earth
  • Tech
    • All
    • Gear
    • Mobile
    • Startup
    Jupiter: de sleutel tot het bestaan van de aarde in ons zonnestelsel

    Jupiter: de sleutel tot het bestaan van de aarde in ons zonnestelsel

    AI-gestuurde werknemer voor verplaatsing

    AI-modellen ontwikkelen overlevingsinstinct, zorgen over mogelijke gevolgen

    Tweede Amerikaanse vliegdekschip in het Midden-Oosten gearriveerd

    Het vlaggenschip van de Amerikaanse vliegdekschepen in het Caribisch gebied

    Zeldzame semi-roze diamant ontdekt

    Zeldzame semi-roze diamant ontdekt

    Nieuwe superaarde ontdekt in bewoonbare zone van planetenstelsel

    Nieuwe superaarde ontdekt in bewoonbare zone van planetenstelsel

    Anthropic betaalt Google miljarden voor lancering chatbot met miljoen AI-chips

    Anthropic betaalt Google miljarden voor lancering chatbot met miljoen AI-chips

    Dinosaurusei met foetaal materiaal ontdekt

    Dinosaurusei met foetaal materiaal ontdekt

    Ontdekking van massief graniet onder Antarctische gletsjer

    Ontdekking van massief graniet onder Antarctische gletsjer

    James Webb ontdekt exoplaneten in twee stellaire systemen

    De wilde oorsprong van het heelal

    AI-gestuurde werknemer voor verplaatsing

    Experts verzetten zich tegen kunstmatige superintelligentie

    Trending Tags

    • Flat Earth
    • Sillicon Valley
    • Mr. Robot
    • MotoGP 2017
    • Golden Globes
    • Future of News
  • Sports
  • Entertainment
    • All
    • Films & series
    • Gaming
    • Muziek
    • Televisie
    Rob Jetten: Frans Timmermans’ aanval had weinig kans van slagen.

    Rob Jetten: Frans Timmermans’ aanval had weinig kans van slagen.

    Danny Ghosen: “Nederlandse boosheid en asielzoekers begrijpen, maar vol is vol.”

    Danny Ghosen: “Nederlandse boosheid en asielzoekers begrijpen, maar vol is vol.”

    Timmermans ziet GroenLinks-PvdA als grootste concurrent voor Wilders.

    Timmermans ziet GroenLinks-PvdA als grootste concurrent voor Wilders.

    Kritiek op winnende Televizier-Ring Inside: Promoten van vrouwen- en homohaat.

    Kritiek op winnende Televizier-Ring Inside: Promoten van vrouwen- en homohaat.

    Euthanasie van Milou (17) zorgt voor discussie

    Euthanasie van Milou (17) zorgt voor discussie

    100.000 huizen per jaar bouwen: utopie of realiteit?

    100.000 huizen per jaar bouwen: utopie of realiteit?

    ‘Victoria Beckham: van alle kanten belicht’

    ‘Victoria Beckham: van alle kanten belicht’

    Asielzoekers blijft verkiezingsthema, ook voor Eerdmans: ‘Daar krijg je boze mensen van’

    Asielzoekers blijft verkiezingsthema, ook voor Eerdmans: ‘Daar krijg je boze mensen van’

    Gas Clash: Johan Derksen vs Joost Eerdmans

    Gas Clash: Johan Derksen vs Joost Eerdmans

    Pas op voor creepshots: supermarkten en winkels waarschuwen voor ongewenste fotografie.

    Pas op voor creepshots: supermarkten en winkels waarschuwen voor ongewenste fotografie.

  • Lifestyle
    • All
    • Eten & Drinken
    • Fashion
    • Kunst
    • Reizen
    Luxe ontsnappingen: vind jouw perfecte verrijkende vakantie.

    Luxe ontsnappingen: vind jouw perfecte verrijkende vakantie.

    Ontdek droomcruises naar Caribische eilanden, Amerikaanse hotspots en Europese steden

    Ontdek droomcruises naar Caribische eilanden, Amerikaanse hotspots en Europese steden

    Belangrijke veranderingen voor reizen met huisdieren in Europa – Alles wat u moet weten

    Belangrijke veranderingen voor reizen met huisdieren in Europa – Alles wat u moet weten

    Geheimen van lang leven: baden in warmwaterbronnen wereldwijd.

    Geheimen van lang leven: baden in warmwaterbronnen wereldwijd.

    Welkom op Amerika’s favoriete eiland: een paradijs om te ontdekken.

    Welkom op Amerika’s favoriete eiland: een paradijs om te ontdekken.

    Expert tips voor een betaalbare vakantie in 2026

    Expert tips voor een betaalbare vakantie in 2026

    Inspirerende reisideeën voor fervente reizigers

    Inspirerende reisideeën voor fervente reizigers

    EU grenscontroles eindelijk van kracht: wat gebeurde er?

    EU grenscontroles eindelijk van kracht: wat gebeurde er?

    EU grenscontroles eindelijk van kracht: wat gebeurde er?

    EU grensregeling van kracht: wat gebeurde er?

    EU grenscontroles eindelijk van kracht: wat gebeurde er?

    EU grenscontroles eindelijk van kracht: wat gebeurde er?

    Trending Tags

    • Golden Globes
    • Mr. Robot
    • MotoGP 2017
    • Climate Change
    • Flat Earth
  • Gezondheid
No Result
View All Result
Bureau49
No Result
View All Result
Home Nieuws Buitenland

Cycloon Melissa bedreigt Haïti en Jamaica

by Bureau49
October 26, 2025
in Buitenland
0
0
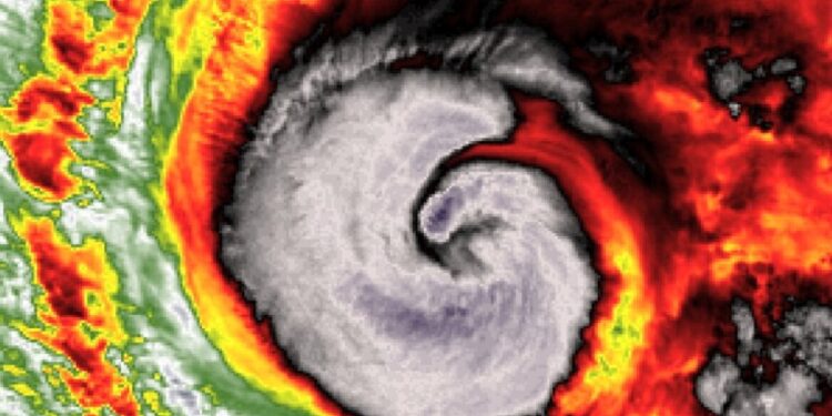
Cycloon Melissa bedreigt Haïti en Jamaica

Tropische storm Melissa heeft zich ontwikkeld tot een cycloon nadat het al vier levens heeft geëist op het Caribische eiland Hispaniola. Met een maximale windsnelheid van 120 kilometer per uur is Melissa nu een orkaan geworden en zal naar verwachting nog sterker worden terwijl het richting Jamaica beweegt, volgens het Amerikaanse National Hurricane Center (NHC).

Het extreme weer heeft tot nu toe drie levens geëist in Haïti en één in de Dominicaanse Republiek. In de Dominicaanse Republiek veroorzaakte de storm overstromingen, waardoor huizen onder water kwamen te staan en inwoners gedwongen werden te evacueren. Negen provincies in het land kregen een rood alarm vanwege het risico op overstromingen en aardverschuivingen.

Melissa beweegt nu richting Jamaica en zal naar verwachting het eiland dagenlang teisteren voordat het naar het noorden trekt en mogelijk Cuba bedreigt. De NHC voorspelt harde wind, hevige regenval, overstromingen en aardverschuivingen in Jamaica en Haïti. De bevolking van zuidwestelijk Haïti wordt geadviseerd om onmiddellijk voorzorgsmaatregelen te nemen om hun leven en levensonderhoud te beschermen.

De Jamaicaanse premier, Andreas Holness, heeft de bewoners van gebieden waar overstromingsgevaar dreigt opgeroepen om de waarschuwingsborden in de gaten te houden en voorbereid te zijn om hun huizen snel te verlaten indien nodig. Regenbuien van Melissa hebben al voor overstromingen gezorgd in de hoofdstad Kingston, zoals te zien is op beelden van Jamaicaanse media.

Melissa is de 13e tropische storm van dit seizoen in de Atlantische Oceaan, dat loopt van begin juni tot eind november. De autoriteiten blijven de ontwikkelingen van de cycloon nauwlettend volgen en waarschuwen de bevolking voor de mogelijke verwoestende gevolgen van het extreme weer.

Bureau49

Bureau49

  • Trending
  • Comments
  • Latest
Proppers in Albufeira: Vermijden als de pest.

Proppers in Albufeira: Vermijden als de pest.

September 5, 2025
Familiedrama: 17-jarige dochter steekt Duitse burgemeester neer met 13 messen

Familiedrama: 17-jarige dochter steekt Duitse burgemeester neer met 13 messen

October 8, 2025
Waarom FC 26 zo onweerstaanbaar voelt

Waarom FC 26 zo onweerstaanbaar voelt

September 25, 2025
Het duurzame maar digitale ‘ASN’ moet nu ook laagdrempelig worden

Het duurzame maar digitale ‘ASN’ moet nu ook laagdrempelig worden

0
Ook  grote vervuilers kunnen goed op weg zijn

Ook grote vervuilers kunnen goed op weg zijn

0
Waarom dat eindeloze gedraal met de aanpak van arbeidsmigratie?

Waarom dat eindeloze gedraal met de aanpak van arbeidsmigratie?

0
Venezuela traint kustbescherming tegen geheime operaties VS

Venezuela traint kustbescherming tegen geheime operaties VS

October 26, 2025
Voorzitter Palestijnenvereniging jaar lang geen toegang tot Milaan

Voorzitter Palestijnenvereniging jaar lang geen toegang tot Milaan

October 26, 2025
De verboden kaas: Brexit scheurt E.U. en Groot-Brittannië verder uit elkaar.

De verboden kaas: Brexit scheurt E.U. en Groot-Brittannië verder uit elkaar.

October 26, 2025
Bureau49

Copyright © 2024 Bureau49

Navigate Site

  • Over ons
  • Adverteren
  • Privacybeleid
  • Contactgegevens

Follow Us

Welcome Back!

Login to your account below

Forgotten Password?

Retrieve your password

Please enter your username or email address to reset your password.

Log In

Add New Playlist

No Result
View All Result
  • Voorpagina
  • Nieuws
    • Binnenland
    • Buitenland
    • Economie
    • Politiek
  • Tech
    • Gear
    • Mobile
    • Startup
  • Sports
  • Entertainment
    • Films & series
    • Muziek
    • Televisie
  • Lifestyle
    • Eten & Drinken
    • Fashion
    • Kunst
    • Reizen
  • Gezondheid

Copyright © 2024 Bureau49